1732-1770 Blake Street, Windsor Hotel Stables
The LODO tour has taken a detour from the original route. Blake street was added between 18th and 17th Street. This was done to take advantage of buildings with a colorful history along Blake and adding two hotels on 17th Street. The buildings along Blake go by different names, the Windsor Hotel Stables were in the rear of the Italianate row buildings on Blake Street. The Italianate buildings on Blake Street were renamed in 1974, as the Blake Street Bath and Racquet Club, by developer Bill Saslow.
The original address of the row of ten buildings was 444-458 Blake Street. The Stable’s address was 224, 226 and 228 18th Street. The stables took the area behind the row building, on the alley. It was one large building housing the livestock and wagons. In 1881 the stables were run by Austin, Reynolds & Company. At one time, after the turn of the century it was named the Windsor Omnibus and Stables. The buildings on Blake street held a number of smaller manufacturing businesses like printing, fabrication, cigar making, wood working, tobacco and later, electric repairs. By the 1929-1930 the Sanborn maps shows the big building in the rear, gone.
The Windsor Stables were part of the premier hotel in Denver at the time, the Windsor Hotel. The Windsor was built in 1880, it was two blocks from Horace Tabor’s office building, the Tabor Block. Tabor financed the hotel and is listed in the 1881 city directory as: Windsor Hotel-Bush, Tabor & Co., props-Larimer NE corner 18th. Horace Tabor was also listed as vice-president of the First National Bank, and listed as residing at the Windsor Hotel.
Because of the success of Larimer Square, downtown zoning was changed from strictly industrial and manufacturing to a new zoning category, B-7. This new category allowed mixed use in the industrial area. Redevelopment was invigorated by the new zoning. While DURA was encouraging high rise development south of Market street, smaller developers seen opportunity in older, smaller buildings north of Market street. The buildings on Blake street benefitted from an interest in preservation. Bill Saslow was a pioneer in downtown, converting small industrial businesses into townhomes over retail. Adding to the interest was a pool and tennis court in the rear of the buildings.
Bill Saslow recognized a need to help those on the streets in lower downtown being displaced by renewed development of the area. Colorado Supreme Court rescinded public drunkenness laws. This left few alternatives for law enforcement to keep the area in order. Saslow was instrumental, along with Downtown Denver Inc., in starting a alternative help program for those in need. Denver C.A.R.E.S., standing for Comprehensive Alcohol Rehabilitation Emergency Services was started along with Denver General Hospital. Denver CARES is still helping those that find themselves on the streets, in need.
The second part of the story happened in 1988. An area of downtown was designated as a Historic District. By designating the area Historic it provide two things, one it slowed demolition. Secondly the designation was to insure that downtown was recognized as unique. The blocks of brick warehouses could not be duplicated, they were the heart and soul of the area. The uniqueness had to be protected before the area which lost 20% of it buildings lost any more.
Once the value of preservation was proven to downtown business owners the area flourished. Viaducts were removed and rail yards shrunk to allow more freer access to the district.

Enter a caption
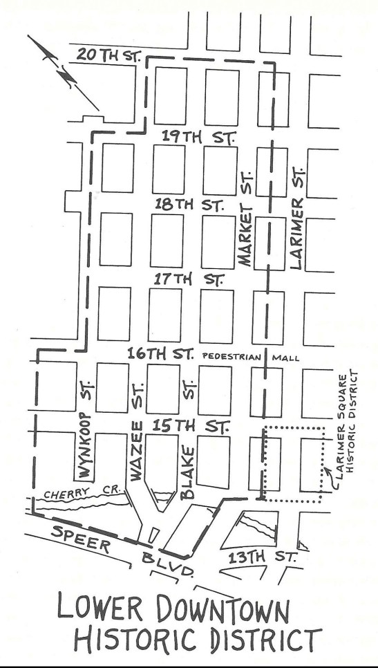
Map of the Lower Downtown Historic from the book:
Historic Preservation and the Imagined West, Judy Mattivi Morley (2006). This book was used in part for this information.
Also a similar book is Giving Preservation a History, edited by Max Page and Randall Mason (2004).

1770 – 1732 Blake Street, this photo shows 8 of the 10 building sections.
Additions, comments and corrections are welcomed, JOE S